Версия для слабовидящих
  • Главная
  • /
  • Официальная информация
  • /
  • Аукцион на право заключения договора аренды земельного участка, расположенного по адресу ориентира: Калужская область, г. Обнинск, ул. Дачная, д. 3

Аукцион на право заключения договора аренды земельного участка, расположенного по адресу ориентира: Калужская область, г. Обнинск, ул. Дачная, д. 3

16 февраля 2016 года 12:26

ИЗВЕЩЕНИЕ
о проведении аукциона на право заключения договора аренды земельного участка, находящегося по адресу: Калужская область, г. Обнинск, ул. Дачная, д. 3.


1. Организатор аукциона: Управление имущественных и земельных отношений Администрации города Обнинска в соответствии с Положением об Управлении, утвержденным распоряжением Администрации города Обнинска от 15.07.2013 № 02-01/65, постановлением от 21.12.2015 № 2318-п.

2. Уполномоченный орган и реквизиты решения о проведении аукциона:
Администрация города Обнинска, постановление Администрации города Обнинска от 21.12.2015 № 2318-п «О проведении аукциона на право заключения договора аренды земельного участка с кадастровым номером 40:27:010103:426, почтовый адрес ориентира: г. Обнинск, ул. Дачная, д. 3».

3. Место, дата, время и порядок проведения аукциона:
Аукцион проводится организатором аукциона в присутствии членов комиссии, созданной в соответствии с приказом Управления имущественных и земельных отношений, по адресу: г. Обнинск, пл. Преображения, д. 1, 4-й этаж, 401 каб. (зал заседаний) «29» марта 2016 в 11-00 часов.
Аукцион, открытый по составу участников, на право заключения договора аренды земельного участка проводится в следующем порядке:
а) аукцион ведет аукционист;
б) аукцион начинается с оглашения аукционистом наименования, основных характеристик и начальной цены предмета аукциона (ежегодный размер арендной платы), "шага аукциона" и порядка проведения аукциона;
в) участникам аукциона выдаются пронумерованные карточки, которые они поднимают после оглашения аукционистом размера ежегодной арендной платы и каждого очередного размера ежегодной арендной платы в случае, если готовы заключить договор аренды земельного участка в соответствии с этим размером арендной платы;
г) каждый последующий размер ежегодной арендной платы аукционист назначает путем увеличения текущего размера ежегодной арендной платы на "шаг аукциона". После объявления очередного размера ежегодной арендной платы аукционист называет номер карточки участника аукциона, который первым поднял карточку, и указывает на этого участника аукциона. Затем аукционист объявляет следующий размер ежегодной арендной платы в соответствии с "шагом аукциона";
д) при отсутствии участников аукциона, готовых заключить договор аренды земельного участка в соответствии с названным аукционистом размером ежегодной арендной платы, аукционист повторяет этот размер арендной платы 3 раза.
Если после троекратного объявления очередного размера ежегодной арендной платы ни один из участников аукциона не поднял карточку, аукцион завершается.
Результаты аукциона оформляются организатором аукциона протоколом в 2-х экземплярах, один из которых передается победителю аукциона, а второй остается у организатора аукциона.
Протокол о результатах аукциона размещается на официальном сайте в течение одного рабочего дня со дня подписания данного протокола.
Победителем аукциона признается участник аукциона, предложивший наибольший размер ежегодной арендной платы за земельный участок.

4. Предмет аукциона: право на заключение договора аренды земельного участка.
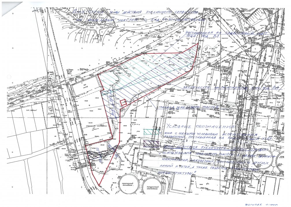
Местоположение (адрес) земельного участка: Калужская область, г. Обнинск, ул. Дачная, д. 3.
Площадь земельного участка: 9180 кв. м.
Кадастровый номер земельного участка: 40:27:010103:426.
Права на земельный участок: земельный участок образован из земель, государственная собственность на которые не разграничена.
Категория земель: земли населенных пунктов.

Разрешенное использование земельного участка:
производственные базы строительных предприятий; обслуживание автотранспорта (мастерские автосервиса, станции технического обслуживания, автомобильные мойки); многоэтажные и подземные гаражи и стоянки; перегрузочные комплексы внешнего автомобильного транспорта, предприятия транспортной логистики.

Ограничения использования:

- часть земельного участка находится в охранной зоне подземных инженерных сетей (проложены 4 кабельные линии на напряжение 6 кВ ГПП-1 «Обнино» - РП-01-ОС, предназначенные для электроснабжения очистных сооружений г. Обнинска, с охранной зоной кабельных линий – 1 м от крайнего кабеля, а также, проходит канализационный сбросной коллектор из железобетонных труб диаметром 1500 мм, глубина залегания 2,0 – 3,15 м);
- часть земельного участка в зоне с особыми условиями использования территории, поставленная на кадастровый учет (зона объектов электросетевого хозяйства, ограничение земельного участка составляет 4812 кв.м).
План-схема земельного участка с учетом охранных зон является приложением к настоящему извещению.

Максимально и минимально допустимые параметры разрешенного строительства объекта капитального строительства:

Максимальная площадь объекта капитального строительства – 3856 кв.м, минимальная площадь объекта капитального строительства – 2700 кв.м; этажность, озеленение, автостоянки для специализированных и служебных автомобилей, а также автостоянки для работников определяется проектом, в соответствии с СП 42.13330.2011 «Градостроительство. Планировка и застройка городских и сельских поселений» актуализированная редакция СНиП 2.07.0189*, СП 56.13330.2011 «Производственные здания» актуализированная редакция СНиП 31-03-2001, ст. 27 Правил землепользования и застройки МО «Город Обнинск», утвержденных Решением Обнинского городского Собрания от 20.11.2007 № 02-50 (в действующей редакции).
Часть земельного участка попадает в охранную зону линии электропередач 110 кВ. Согласно Правилам установления охранных зон объектов электросетевого хозяйства и особых условий использования земельных участков, расположенных в границах таких зон, утвержденных постановлением Правительства Российской Федерации от 24.02.2009 № 160, в охранных зонах, установленных для объектов электросетевого хозяйства напряжением свыше 1000 вольт запрещается размещать гаражи и стоянки всех видов машин и механизмов. Также в соответствии с Правилами в пределах охранных зон без письменного разрешения о согласовании сетевых организаций юридическим и физическим лицам запрещаются строительство, капитальный ремонт, реконструкция или снос зданий и сооружений.

Технические условия подключения объектов капитального строительства к сетям инженерно-технического обеспечения:
Водоснабжение/водоотведение (МП «Водоканал» № 97 от 24.07.2015, АО «ГНЦ РФ ФЭИ» № 224/53-02/6057Б от 26.11.2015):

Сетей водопровода и хоз.-бытовой канализации МП «Водоканал» в районе земельного участка с кадастровым номером 40:27:010103:426, нет.
АО «ГНЦ РФ-ФЭИ» нагрузку по водоснабжению 10,0 м3/сут согласовывает, точку подключения необходимо определить проектом. Водоотведение в систему бытовой канализации (трубопровод Д=300мм) с нагрузкой 10,0 м3/сут согласовывает, точку подключения определить проектом. Технические условия подключения и объем стоков согласовать с МП «Водоканал».
Теплоснабжение (МП «Теплоснабжение» № 5/2147 от 27.07.2015):
В процессе определения и предоставления технических условий, а также в процессе подключения к тепловым сетям необходимо руководствоваться «Правилами определения и предоставления технических условий подключения объекта капитального строительства к сетям инженерно-технического обеспечения», утвержденными Постановлением Правительства РФ от 13 февраля 2006 года № 83 и «Правилами подключения к системам теплоснабжения», утвержденными Постановлением Правительства РФ от 16 апреля 2012 года № 307.
Максимальная нагрузка – 0,5 Гкал/ч.
Ориентировочная точка подключения – тепловая сеть надземной прокладки dy 150 мм от ТЭЦ ФЭИ, на участке от У-2а (Оч) до У-3 (Оч), в районе неподвижной опоры.
Срок подключения объекта капитального строительства к тепловым сетям – 3 года.
Срок действия технических условий – 3 года.
Общий размер платы за технологическое подключение определяется в соответствии со ставкой, установленной Министрством тарифного регулирования Калужской области. Арендатор земельного участка в течение 1 года должен обратиться в МП «Теплоснабжение» с заявлением о подключении к тепловым сетям и уточнением плдключаемой нагрузки для получения условий подключения (технических условий на присоединение), которые могут служить основанием для проектирования и заключения договора о подключении. Подключения объекта согласовать с источником тепловой энергии ТЭЦ ФЭИ.
Электроснабжение (МП «Горэлектросети» № 624 от 14.09.2015 г.):
Техническая возможность технологического присоединения к электрическим сетям имеется. Для технологического присоединения нагрузки к электрической сети необходимо будет установить комплектную трансформаторную подстанцию 6/0,4 кВ, с присоединением ее к воздушной линии 6 кВ. Заявителю необходимо в соответствии с «Правилами технологического присоединения…», утвержденными Постановлением Правительства РФ от 27.12.2004 № 861, направить заявку на технологическое присоединение к электрическим сетям в МП «Горэлектросети», на основании которой будут выданы технинческие условия заявителю. К проектируемой трансформаторной подстанции будет присоединен потребитель на земельном участке ул. Дачная, 3.
Ливневая канализация (МП «Коммунальное хозяйство» № 532 от 15.05.2015г.):
В связи с отсутствием ливневой канализации в данном районе разработать проект внутриплощадочной ливневой канализации земельного участка с видом разрешенного использования «Производственные базы строительных предприятий, предприятия транспортной логистики» со строительством очистных сооружений ливневых стоков, в соответствии с рекоменациями СНиП 2.04.03-85, СП-42.13330.2011, «Правил благоустройства и озеленения территории МО «город Обнинск». Точку сброса ливневых стоков определить проектом. Получить разрешение в территориальном органе Росприроднадзора на сброс сточных и дренжаных вод. Смотровые колодцы выполнить из ж/бетонных колец диаметром не менее 1,0 м с расположением их вблизи подъездов для возможности обслуживания механизмами. Независимо от места расположения (газон, проезд) установить на смотровые колодцы тяжелые люки. Согласно Постановлениям Администрации города Обнинска № 282-п от 06.03.2009 и № 255-п от 03.09.2009 проектом предусмотреть восстановление благоустройства, разрушенного в период производства работ. Разработанный проект согласовать с МП «Коммунальное хозяйство». Техническиие условия действительны в течение 3-х лет.

Срок действия технических условий – 3 года с даты их выдачи.

5. Начальная цена предмета аукциона: начальный размер ежегодной арендной платы составляет 745 209 (Семьсот сорок пять тысяч двести девять) рублей 00 копеек.

6. «Шаг аукциона»: составляет 22 300 (Двадцать две тысячи триста) рублей 00 копеек.

7. Форма заявки на участие в аукционе, порядок ее приема, адрес места ее приема, дата и время начала и окончания приема заявок на участие в аукционе:
Форма заявки является приложением к настоящему извещению.
Для участия в аукционе заявители представляют в установленный в извещении о проведении аукциона срок следующие документы:
а) заявка на участие в аукционе по установленной в извещении о проведении аукциона форме с указанием банковских реквизитов счета для возврата задатка;
б) копии документов, удостоверяющих личность заявителя (для граждан);
в) надлежащим образом заверенный перевод на русский язык документов о государственной регистрации юридического лица в соответствии с законодательством иностранного государства в случае, если заявителем является иностранное юридическое лицо;
г) документы, подтверждающие внесение задатка;
д) опись представленных документов.
Указанные документы в части их оформления и содержания должны соответствовать законодательству Российской Федерации.
Заявка и опись представленных документов составляются в 2 экземплярах, один из которых остается у организатора аукциона, другой - у заявителя.
Один заявитель имеет право подать только одну заявку на участие в аукционе.
При подаче заявки физическое лицо предъявляет документ, удостоверяющий личность. В случае подачи заявки представителем заявителя предъявляется доверенность.
Заявка с прилагаемыми к ней документами регистрируются организатором аукциона в журнале приема заявок с присвоением каждой заявке номера и с указанием даты и времени подачи документов.
Заявка, поступившая по истечении срока ее приема, вместе с документами по описи, на которой делается отметка об отказе в принятии документов с указанием причины отказа, возвращается в день ее поступления заявителю или его уполномоченному представителю под расписку.
Заявитель имеет право отозвать принятую организатором аукциона заявку до дня окончания срока приема заявок, уведомив об этом (в письменной форме) организатора аукциона.
Прием документов прекращается не ранее чем за пять дней до дня проведения аукциона на право заключения договоров аренды земельного участка.
Заявки принимаются по адресу: Калужская область, г. Обнинск, пл. Преображения, д. 1, 3 этаж, каб. 307.
Дата и время начала приема заявок: « 16 » февраля 2016, 09-00.
Дата и время окончания приема заявок: « 24 » марта 2016, 16-00
Заявки принимаются в рабочие дни с 09-00 до 16-00.
Протокол рассмотрения заявок на участие в аукционе размещается на официальном сайте не позднее чем на следующий день после подписания.

8. Размер задатка: для участия в аукционе заявитель вносит задаток в размере 20% от начального размера ежегодной арендной платы, что составляет 149 041 (Сто сорок девять тысяч сорок один) рубль 80 копеек.
Порядок внесения и возврата задатка, банковские реквизиты для перечисления задатка: задаток должен поступить на указанный в извещении о проведении аукциона расчетный счет до дня окончания приема документов для участие в аукционе.
Задаток подлежит перечислению заявителем на расчетный счет Администрации города Обнинска по следующим реквизитам: Управление финансов Администрации города Обнинска (Администрация города Обнинска 054402Ю2010); ИНН 4025001211; КПП 402501001; расчетный счет 40302810529135000090 в РКЦ Обнинск г. Обнинск, БИК 042913000. В платежном документе в графе «назначение платежа» должна содержаться ссылка на дату проведения аукциона, адрес объекта.
Организатор торгов обязан вернуть внесенный задаток заявителю:
• не допущенному к участию в аукционе, в течение трех рабочих дней со дня оформления протокола приема заявок на участие в аукционе;
• отозвавшему в установленном порядке принятую организатором аукциона заявку, в течение трех рабочих дней со дня поступления уведомления об отзыве заявки;
• участвовавшему в аукционе, но не победившему в нем, в течение трех рабочих дней со дня подписания протокола о результатах аукциона;
Задаток, внесенный лицом, признанным победителем аукциона, с которым заключается договор аренды земельного участка, засчитывается в счет арендной платы за него.
Задаток, внесенный победителем аукциона, не заключившим в установленном порядке договор аренды земельного участка вследствие уклонения от заключения указанного договора, не возвращается.
Подведение итогов аукциона проводится в соответствии со ст. 39.12 Земельного Кодекса Российской Федерации.

9. Срок аренды земельного участка: 10 (Десять) лет.
Дополнительные условия:
В связи с прохождением по земельному участку кабельных линий, предназначенных для электроснабжения городских очистных сооружений, необходимо ограничить доступ к указанным сетям путем установления сервитута по трассе прохождения кабелей с охранной зоной.
В соответствии с постановлением Правительства РФ от 24.02.2009 № 160 «О порядке установления охранных зон объектов электросетевого хозяйства и особых условий использования земельных участков, расположенных в границах таких зон» охранная зона вдоль подземных кабельных линий электропередачи устанавливается в виде участка земли ограниченного параллельно вертикальными плоскостями, отстоящими по обе стороны линии электропередачи от крайних кабелей на расстоянии 1м.
Кроме того, на земельном участке расположен канализационный сбросной коллектор Ду 1500мм, находящийся на балансе и обслуживании МП «Водоканал», в зоне прохождения которого также необходимо ограничить доступ с охранной зоной – 1м в каждую сторону от коллектора.

Дополнительная информация:
Для участия в аукционе заявители могут получить документацию и дополнительную информацию по проведению аукциона у Организатора аукциона по адресу: г. Обнинск, пл. Преображения, 1, каб. 306, тел. (8-484) 39-6-49-79; 39-6-46-31, 39-5-82-89; факс (8-484) 39-5-86-41.

Приложение:
1. форма заявки на участие в аукционе (скачать);
2. проект договора аренды земельного участка (скачать);
3. План-схема земельного участка (скачать).


 

Создано: 16.02.2016 13:49
Дата последнего обновления страницы: 16.02.2016 04:49